Brentford FC's First Match


The cherished roots of our club

Every Bees fan worth his or her salt will know that the Bees were founded at a meeting in The Oxford and Cambridge pub on 16th October 1889. The location of the pub was almost identical to that of the latter-day pub One Over the Ait on Kew Bridge Road.

The first match was played on 23rd November 1889 on land behind, and immediately to the east of Clifden House on the corner of Windmill Road and Clifden Road. The result was a 1-1 hammering by the Bees. Thomas “Toughie” Bonell (1863-1932) scored the Bees’ goal. Toughie was born in Birmingham but any transfer fee was undisclosed and in fact the players had to pay a subscription for their club membership. The legendary Bill Dodge (1866-1961) also played in the match. The full Bees line-up was as below (with thanks to Ciaran Brett for the names of the players). Where they can be traced we have added their jobs, their address and age at the time of the match:

Henry “Harry” Leslie Edwardes (goal):

school teacher, Avenue Road, Brentford (25)

John J. Curtis, Capt. (back):

assistant brewer, Boston Road, Brentford (20)

John H. Bailey, Vice-Capt, (back):

porter, High Street, Brentford (26)

Arthur C. Drabble (half back):

merchant’s clerk, St. Paul’s Vicarage, Brentford (22)

C. Almond (half back):

 

Henry William “Bill” Dodge (half-back):

quantity surveyor, Brentford (23)

George H. Bloomer (forward):

commercial traveller, Hamilton Road, Brentford (20)

H. Gatterell (forward):

 

Richard D. Beaver (forward):

 

C.S Burgess (forward):

 

Thomas Henry Mahadoo Bonell (forward):

railway works manager, Hanwell (26)

Umpire, Mr. Barr (late of St Mark’s College F.C.)

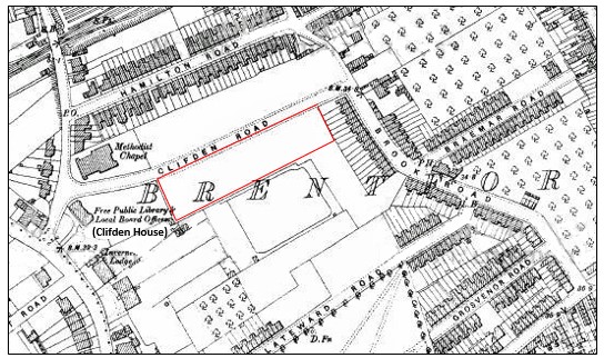
The map below shows the piece of land where the match took place, a mere goal kick from Griffin Park.
 

Clifden Road#

The local authority at the time was the catchily named Local Board for the Urban Sanitary District of Brentford and they leased Clifden House in 1888 before buying it in 1891. From about 1845 to the early 1880s Clifden House had been used as a boarding school and the land at the rear was used to play cricket, for running and jumping events and, by the 1860s, for football.

The Football Association was founded in 1863 and at that time the more formal versions of the game were played at public schools. A major problem was that every school played to different rules and chaos ensued when the players tried to play together at university. Early attempts to standardise the rules were not entirely successful. In 1869 the Football Association comprised about thirty clubs including Crystal Palace, Eton, Civil Service, Wimbledon and Clifden House (Brentford) and in that year they met to reconsider the rules of the game, which were not finally standardised until 1877.

The very first FA Cup Final was held at the Oval in March 1872. The “Challenge Cup” was bought through subscriptions from fifteen clubs but we have been unable to find any evidence that Clifden House School was one of the subscribers.

The land where the Bees’ first match took place was developed by the building of Brentford Baths in 1895-1896 and the construction of houses in Clifden Road in two main phases over the period 1900-1939. Clifden House itself was demolished in 1953.

Jim Storrar

December 21, 2017